沅江市人民政府
關于沅江市2025年度第二批次建設項目
征收土地預公告
沅政土征字[2025]004號
根據《中華人民共和國土地管理法》《中華人民共和國土地管理法實施條例》《湖南省實施〈中華人民共和國土地管理法〉辦法》有關規定,因公共利益需要,經沅江市人民政府研究決定,啟動土地征收工作。現將有關情況公告如下:
一、征收目的
根據《中華人民共和國土地管理法》第四十五條的規定,本次征收土地目的為沅江市2025年度第二批次建設項目建設需要用地,規劃用途為工業用地,具體建設內容為廠房建設,符合第四十五條第五款規定。
二、征收范圍
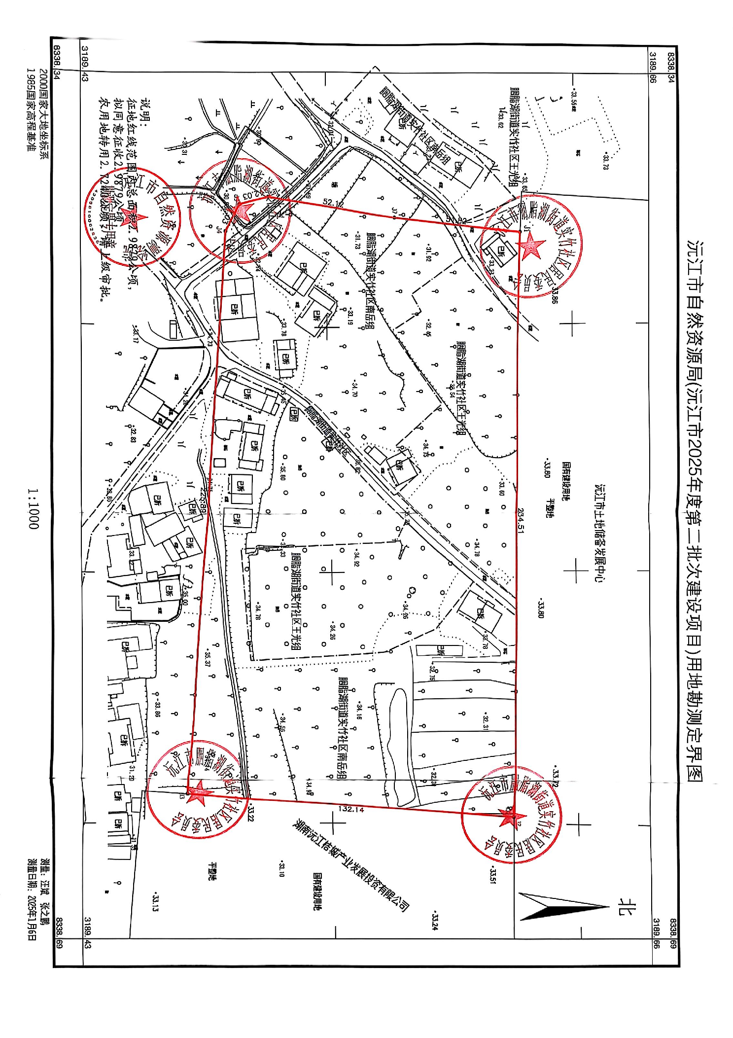
本次擬征收土地位于胭脂湖街道辦事處實竹社區及實竹社區王光組、南岳組范圍內,總面積2.9879公頃。擬征收土地位置詳見勘測定界圖。實際征收土地以最終批準文件為準。
三、公告期限
本公告在擬征收土地涉及的鄉鎮(街道)、村(社區)、村民小組范圍內公告,時間不低于十個工作日。
四、工作安排
征收土地預公告發布后,沅江市人民政府將于2025年3月12日開展擬征收土地現狀調查和社會穩定風險評估。開展擬征收土地現狀調查內容包括:擬征收土地的權屬、地類、面積以及農村村民住宅、其他地上附著物和青苗等的權屬、種類和數量等。請土地所有權人、使用權人予以配合。擬征收土地社會穩定風險評估工作中,沅江市人民政府將聽取被征地的農村集體經濟組織及其成員、村民委員會和其他利害關系人的意見。
五、其他事項
自本擬征收土地公告發布之日起,任何單位和個人不得在擬征收范圍內搶栽搶建,違反規定搶栽搶建的,對搶栽搶建部分不予補償。
如對以上公告內容有疑問或異議,可向沅江市安置與征地拆遷事務中心反饋(異議反饋其他機構,需提供三定方案)。聯系人:孫恩勝 電話:07372721577
特此公告。
附圖:擬征收土地勘測定界圖
沅江市人民政府
2025年2月 24日
